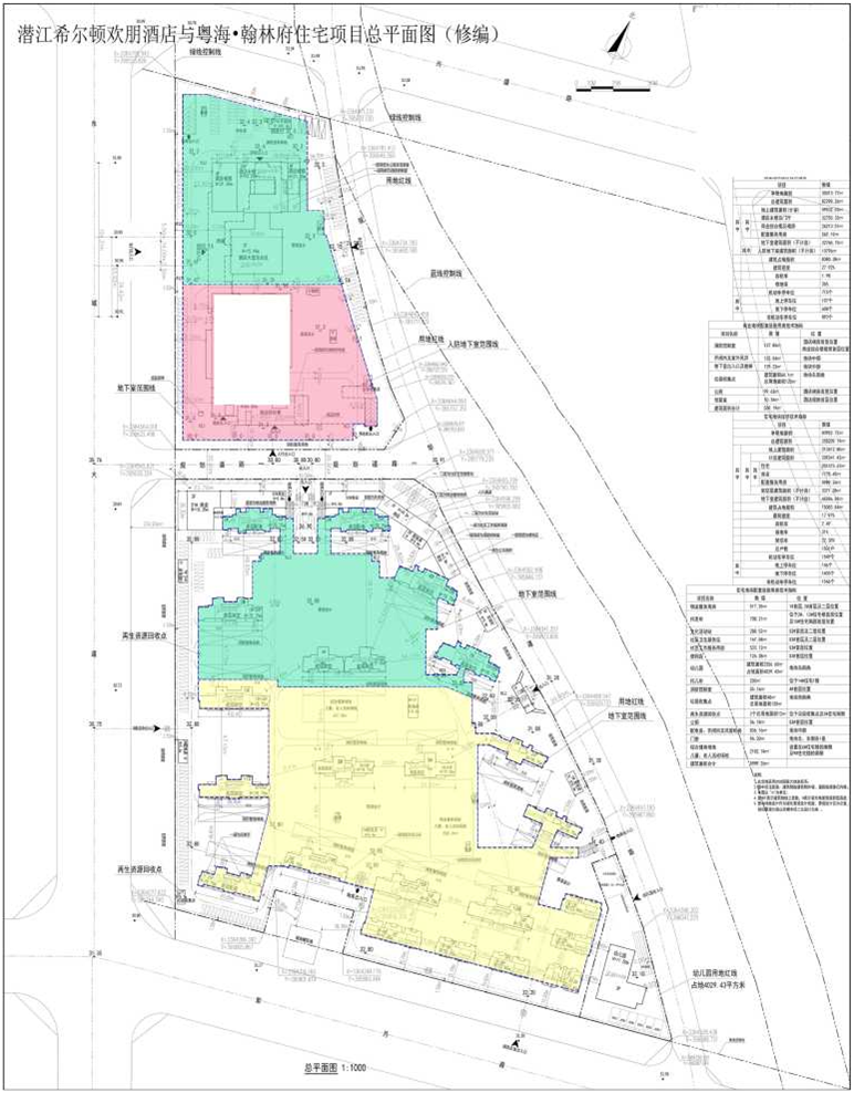
近日,依据《中华人民共和国城乡规划法》和《湖北省城乡规划条例》的规定,潜江市自然资源和规划局发布关于《潜江市希尔顿欢朋酒店与粤海·翰林府住宅项目修建性详细规划总平面图(修编)批前公示》。

本次对原来的规划进行了以下的修改:
本次商业地块规划用地面积:30013.77㎡,总建筑面积82298.26㎡,计容建筑面积:59532.53㎡,建筑密度27.92%,容积率1.98;住宅地块规划用地面积:83952.71㎡,总建筑面积258209.19㎡,计容建筑面积:20924.42㎡,建筑密度17.97%,容积率2.49。
有关商业地块调整内容:
1.调整范围:商业综合楼及裙房调整,其他酒店主楼及门厅配套服务用房等均无调整,具体面积根据后期施工图深化有所变化;
2.建筑面积:总建筑面积由83188.12㎡调整为82298.26㎡、其中计容建筑面积由59673.67㎡调整为59532.53㎡,酒店主楼及门厅建筑面积由32612.16㎡调整为32750.33㎡,商业综合楼及裙房建筑面积由26154.04㎡调整为26213.01㎡。配套设施建筑面积由907.47㎡调整为569.19㎡,消防控制室127.22㎡调整为137.85㎡公厕108.45㎡调整为99.63㎡母婴室10.67㎡调整为10.34㎡,开闭所98.56㎡调整为102.41㎡,地下室出入口及楼梯372.47㎡调整为129.23㎡,风管机房130㎡调整为29.63㎡;不计容建筑面积由23514.45㎡调整为22765.73㎡(人防地下室建筑面积由10802.38㎡调整为10796.00㎡,非人防地下室建筑面积由12712.07㎡调整为11969.73㎡);
3.容积率:容积率由1.99调整为1.98;
4.建筑占地面积:建筑占地面积由8752.03m2调整为8380.38m2,建筑密度由29.16%调整为27.92%;
5.机动停车位个数:总机动停车位个数由717辆调整为715辆(地上车位无变化,地下车位由610辆调整为608辆),在未建设区域减少机动车停车位2个;
6.非机动停车位个数:由896辆调整为893辆,在未建设区域减少非机动车停车位3个;
7.层数、高度、楼栋平面:商业综合楼及裙房建筑高度由73.3m调整为84.6m,商业综合楼标准层的平面调整;
8.规范要求:方案调整后各项指标均符合国家相关规范及规划条件要求;

△修改后方案平面图△

△修改后方案地下车库范围图△
有关住宅地块调整内容:
1.调整范围:二期5#、8#、9#、10#、11#、12#、13#、14#、15#、16#住宅建筑及地下室范围调整,一期住宅及商业建筑、二期部分住宅建筑B-1#—B-6#及配套均无变化;
2.建筑面积:总建筑面积由258700.1㎡调整为258209.19㎡,其中计容建筑面积由209242.85㎡调整为209241.42㎡(住宅建筑面积由201186.04㎡调整为201473.67㎡,商业建筑面积由2020.61㎡调整为1778.49㎡,配套设施建筑面积由6036.20㎡调整为5989.26㎡,物业用房515.12㎡调整为517.25㎡,托老所由700.08㎡调整为708.21㎡,风管机房由原来170.08㎡调整为112.88㎡);不计容建筑面积由49457.25㎡调整为48967.77㎡,(住宅架空层面积由4989.55㎡调整为3371.38㎡,地下室建筑面积由44467.7㎡调整为45596.39㎡);
3.户数:户数由1507户调整为1501户;
4.建筑占地面积:建筑占地面积由15394.33㎡调整为15083.84㎡,建筑密度由18.34%调整为17.97%;
5.机动停车位个数:由1556辆调整为1549辆,在未建设区域减少机动车停车位7个;
6.非机动停车位个数:由1555辆调整为1546辆,在未建设区域减少机动车停车位9个;
7.层数、高度、楼栋平面:二期5#、8#、9#、10#、11#、12#、13#、14#、15#、16#住宅建筑平面调整,调整后因面积减少,二期5#8#层数由1D+24F调整为1D+25F、建筑高度由75.75m调整为78.75m;
8.规范要求:方案调整后各项指标均符合国家相关规范及规划条件要求;

△修改后方案日照分析图△
以上就是本次规划调整的内容,欢迎大家添加小编微信~邀你进潜江人的购房群!!!

免责声明:
1、 文章图片来源于项目效果、实景等, 因编辑需要,文字图片无必然联系,具体数据以实际交楼为准;
2、我们所发布的所有文章、图片、音视频文件等资料版权归版权所有人所有,部分为原创或转载。如有涉及不能输出不宜上网供大家浏览,或不应无偿使用,请及时通知我们,以迅速采取适当措施,避免给双方造成不必要的经济损失;
3、本文系房地产宣传推广软文,如有涉及不能输出不宜上网供大家浏览,或不当言语,请及时通知我们!
